
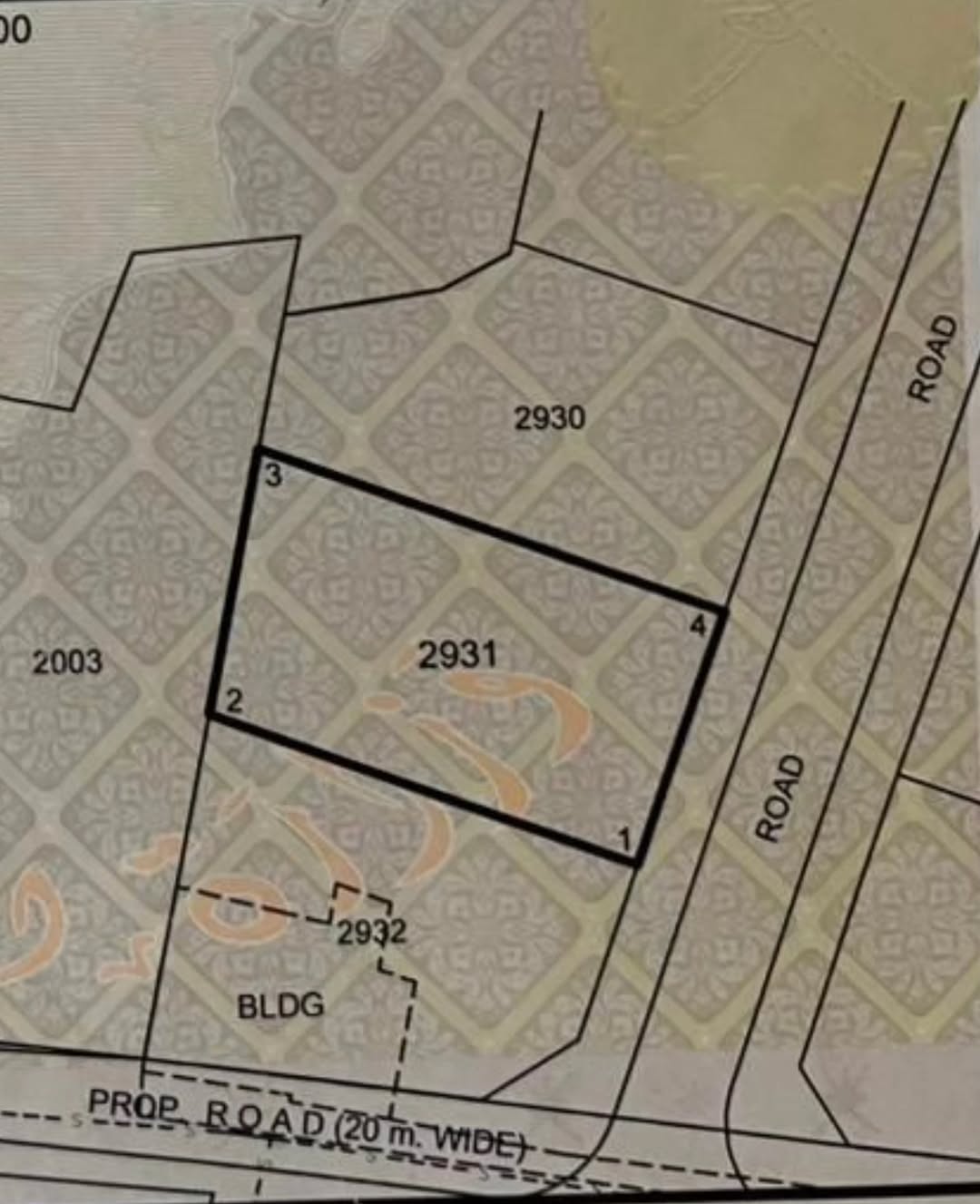
Maabela, Seeb
Prime residential land for sale in North Maabela, strategically located adjacent to Bait Al Baraka Palace. The plot covers 600 sqm and is situated in an excellent location with full access to services. Additional details: Plot number 2931, Phase 1, permitted for residential use only with a maximum height of 8 meters (2 floors), and specific setbacks of 5m front, 3m back, and 2m sides.





Maabela, Seeb
Prime residential land for sale in North Maabela, strategically located adjacent to Bait Al Baraka Palace. The plot covers 600 sqm and is situated in an excellent location with full access to services. Additional details: Plot number 2931, Phase 1, permitted for residential use only with a maximum height of 8 meters (2 floors), and specific setbacks of 5m front, 3m back, and 2m sides.